MONSTRUOZNA OLUJA

'NJEGOV JE DESTRUKTIVNI POTENCIJAL ENORMAN, IZAZVAT ĆE KATASTROFU' Uragan Maria podivljao, u samo par sati prerastao u najjaču kategoriju

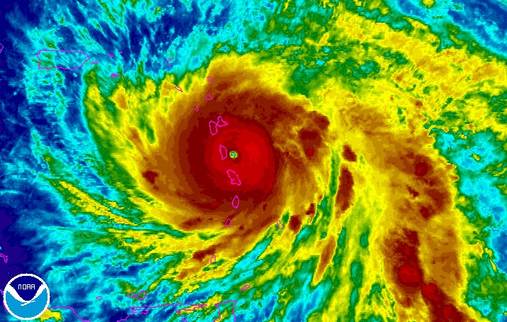
 NHC/NOAA

Četvrti veliki uragan ove godine Maria, u ponedjeljak je prolazeći kroz istočne Karibe na putu prema Portoriku, prerasla u oluju četvrte, a ubrzo potom i pete, najviše kategorije, s udarima vjetra od 260 kilometara na sat, izvijestio je američki centar za uragane, upozorivši kako je riječ o oluji destruktivnog potencijala s mogućim katastrofalnim posljedicama.

Središte oluje nalazi se kod Dominike, šumovite bivše britanske kolonije na istočnom Karibima, na pola puta između francuskih otoka Guadeloupe na sjeveru i Martiniquea na jugu.

Ukoliko ostane pri sadašnjoj snazi, Maria će biti prva oluja pete kategorije koja će izravno pogoditi Portoriko nakon dugo godina. Za ilustraciju, taj je američki teritorij zadnji uragan četvrte kategorije pogodio prije 85 godina, dok je zadnji ...

Želite li dopuniti temu ili prijaviti pogrešku u tekstu?
01. siječanj 2026 03:14