UZBUNA NA KARIBIMA I U FLORIDI

'OVO JE JEDAN OD NAJSNAŽNIJIH URAGANA KOJE SMO IKAD ZABILJEŽILI' Oluja Irma prerasla je u kategoriju 5, vjetar na mahove puše 350 km/h

 U.S. Navy via Reuters

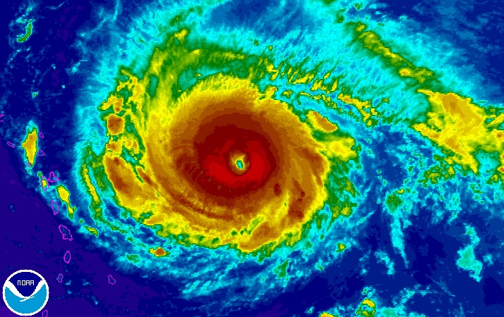
Irma je u utorak postala "iznimno opasan uragan" pete, najviše kategorije na ljestvici koja mjeri takve pojave, priopćio je američki Institut za uragane (NHC).

Pripreme za dolazak uragana "moraju se ubrzati i završiti na području za koje je proglašena uzbuna za uragan", ističe NHC. Irma je u 14 sati po srednjoeuropskom vremenu bila 440 km istočno od Antigve, praćena vjetrom od 280 km/h i udarima vjetra do čak 350 kilometara na sat. Riječ je o jednom od najsnažnijih uragana ikad zabilježenih, kažu meteorolozi.

Uzbuna za uragan proglašena je za Antigvu i Barbudu, Britanske i Američke Djevičanske otoke, Sveti Kristofor i Nevis, otoke Sveti Martin i Sveti Bartolomej te za Portoriko.

Uzbuna za uragan znači da meteološka služba predviđa dolazak uragana za 36 sati. I mnoga druga ...

Želite li dopuniti temu ili prijaviti pogrešku u tekstu?
02. prosinac 2025 12:38